有限会社ビックス

中古住宅 三島市佐野見晴台 4SLDK

有限会社ビックス

中古住宅 三島市佐野見晴台 4SLDK

中古住宅 三島市佐野見晴台 4SLDK

JR「三島」駅車16分・内外装リノベーション済、水回り新品・富士山駿河湾眺望

売土地 三島市佐野見晴台 4SLDK

JR「三島」駅徒車16分・リノベーション済、水回り新品・富士山駿河湾眺望
所在地 三島市佐野見晴台2-32-13 価格
契約済 間取り 4SLDK
土地面積 235.25㎡(71.16坪) 建物面積
116.04㎡(35.10坪) 交通 JR東海道本線「三島」駅車16分
所在地 三島市佐野見晴台2-32-13
価格 契約済
間取り 4SLDK
土地面積 235.25㎡(71.16坪)
建物面積 116.04㎡(35.10坪)
交通 JR東海道本線「三島」駅車16分
4SLDK   敷地230㎡ 以上   リフォーム   公園近く
4SLDK   敷地230㎡ 以上   リフォーム   公園近く
中古住宅・中古一戸建て 三島市佐野見晴台 4SLDK 建物外観(北東側より) 中古住宅・中古一戸建て 三島市佐野見晴台 4SLDK 1F間取図*図面と現況が異なる場合には、現況を優先します。 中古住宅・中古一戸建て 三島市佐野見晴台 4SLDK 2F間取図*図面と現況が異なる場合には、現況を優先します。 中古住宅・中古一戸建て 三島市佐野見晴台 4SLDK 区画図*図面と現況が異なる場合には、現況を優先します。 中古住宅・中古一戸建て 三島市佐野見晴台 4SLDK 建物外観(南東側より) 中古住宅・中古一戸建て 三島市佐野見晴台 4SLDK 建物外観(北側より) 中古住宅・中古一戸建て 三島市佐野見晴台 4SLDK 建物外観 中古住宅・中古一戸建て 三島市佐野見晴台 4SLDK 南側庭 中古住宅・中古一戸建て 三島市佐野見晴台 4SLDK 建物外観・玄関 中古住宅・中古一戸建て 三島市佐野見晴台 4SLDK 玄関 中古住宅・中古一戸建て 三島市佐野見晴台 4SLDK 玄関上部・階段 中古住宅・中古一戸建て 三島市佐野見晴台 4SLDK 玄関・階段・吹抜け 中古住宅・中古一戸建て 三島市佐野見晴台 4SLDK LDK16.0帖 中古住宅・中古一戸建て 三島市佐野見晴台 4SLDK LDK16.0帖 中古住宅・中古一戸建て 三島市佐野見晴台 4SLDK キッチン 中古住宅・中古一戸建て 三島市佐野見晴台 4SLDK キッチン 中古住宅・中古一戸建て 三島市佐野見晴台 4SLDK キッチン 中古住宅・中古一戸建て 三島市佐野見晴台 4SLDK パントリー 中古住宅・中古一戸建て 三島市佐野見晴台 4SLDK 玄関と和室 中古住宅・中古一戸建て 三島市佐野見晴台 4SLDK 和室8.0帖 中古住宅・中古一戸建て 三島市佐野見晴台 4SLDK 和室8.0帖 中古住宅・中古一戸建て 三島市佐野見晴台 4SLDK 洗面脱衣室 中古住宅・中古一戸建て 三島市佐野見晴台 4SLDK 洗面脱衣室 中古住宅・中古一戸建て 三島市佐野見晴台 4SLDK 浴室 中古住宅・中古一戸建て 三島市佐野見晴台 4SLDK 1Fトイレ 中古住宅・中古一戸建て 三島市佐野見晴台 4SLDK 吹抜け 中古住宅・中古一戸建て 三島市佐野見晴台 4SLDK 2F廊下 中古住宅・中古一戸建て 三島市佐野見晴台 4SLDK 2F洋室7.0帖 中古住宅・中古一戸建て 三島市佐野見晴台 4SLDK 2F洋室7.0帖 中古住宅・中古一戸建て 三島市佐野見晴台 4SLDK 2F洋室7.0帖 中古住宅・中古一戸建て 三島市佐野見晴台 4SLDK 2F洋室7.0帖 中古住宅・中古一戸建て 三島市佐野見晴台 4SLDK 2F洋室7.0帖 中古住宅・中古一戸建て 三島市佐野見晴台 4SLDK 2F洋室7.5帖 中古住宅・中古一戸建て 三島市佐野見晴台 4SLDK 2F洋室7.5帖 中古住宅・中古一戸建て 三島市佐野見晴台 4SLDK 2F洋室7.5帖(WIC) 中古住宅・中古一戸建て 三島市佐野見晴台 4SLDK 2Fトイレ 中古住宅・中古一戸建て 三島市佐野見晴台 4SLDK 小屋裏収納内部 中古住宅・中古一戸建て 三島市佐野見晴台 4SLDK バルコニー

リノベーション戸建(水回り新品)!富士山、駿河湾(大瀬崎)眺望!全室2面彩光

富士山と駿河湾を望む丘の上の閑静な住宅街、整形地、分譲地内・南向きで日当良好・駐車場2〜3台可

JR東海道本線「三島」駅7.2km車16分・三島市立佐野小、北上中学校校区

リノベーション戸建!(水回り新品)!富士山駿河湾(大瀬崎)眺望!全室2面彩光

士山と駿河湾を望む丘の上の閑静な住宅街、整形地、分譲地内・南向きで日当良好・駐車場2〜3台可

 JR東海道本線「三島」駅7.2km車16分・三島市立佐野小、北上中学校校区

物件詳細情報

物件名

三島市佐野見晴台 中古住宅

築年月日

2006年7月

間取り

4SLDK

主要採光面

土地面積

235.25㎡(71.16坪)

建物面積

116.04㎡(35.10坪)

間取詳細

1F:LDK16.0帖・和8.0帖・洗面脱衣・浴室
2F:洋7.0帖・洋7.0帖・洋7.0帖(WIC)

所在地/交通

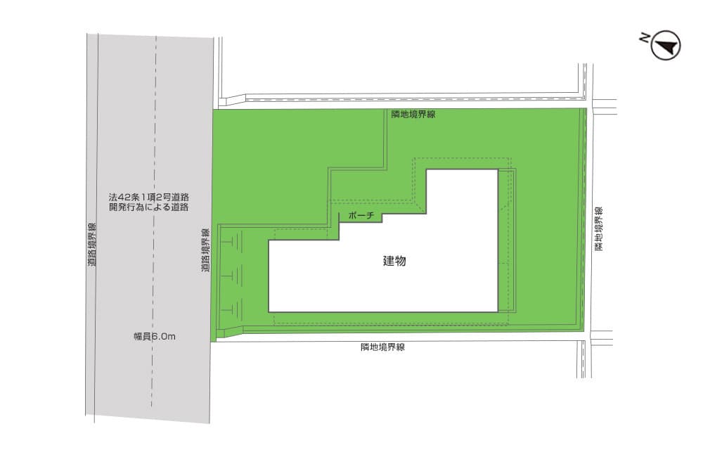
静岡県三島市佐野見晴台2-32-13/JR東海道本線「三島」駅7.2km車16分

接道状況

北側6.0m公道に接面11.8m

構造

木造2階建

私道負担面積

土地権利

所有権

都市計画

市街化調整区域

用途地域

無指定

地勢

雛段

建ぺい率

50%

容積率

80%

地目

宅地

国土法届出

他法令制限

セットバック

駐車場

有:2〜3台

条件等

現況渡し

現況

引渡し

相談

建築確認番号

取引態様

専任媒介

リフォーム

2025年8月:キッチン・浴室・トイレ・洗面所・全室クロス張替え、床(フローリング等)・外壁・バルコニー防水塗装

本体設備

東京電力・公営上水道・都市ガス・公共下水道・側溝・庭

各戸設備

浴室乾燥機・オートバス(1坪以上)・追焚機能・シャワー付洗面化粧台・温水洗浄便座・トイレ2ヶ所・浴室に窓有
システムカウンターキッチン・食器洗い乾燥機・浄水器・3口コンロ・グリル
全居室収納・ウォークインクローゼット・クローゼット・床下収納・モニター付インターホン・ディンプルキー
ダブルロックドア・シャッター雨戸・複層ガラス・24時間換気システム

備考

*建築確認完了検査済証有・新築時、増改築時の設計図書有

物件名 三島市佐野見晴台 中古住宅
築年月日 2006年7月
間取り 4SLDK
土地面積 235.25㎡(71.16坪)
建物面積 116.04㎡(35.10坪)
間取詳細 1F:LDK16.0帖・和8.0帖・洗面脱衣・浴室
2F:洋7.0帖・洋7.0帖・洋7.0帖(WIC)
所在地 静岡県三島市佐野見晴台2-32-13
交通 JR東海道本線「三島」駅7.2km車16分
接道状況 北側6.0m公道に接面11.8m
構造 木造2階建
私道負担面積
土地権利 所有権
都市計画 市街化調整区域
用途地域 無指定
地勢 雛段
建ぺい率 50%
容積率 80%
地目 宅地
国土法届出
他法令制限
セットバック
駐車場 有:2〜3台
条件等 現況渡し
現況
引渡し 相談
建築確認番号
取引態様 専任媒介
リフォーム 2025年8月:キッチン・浴室・トイレ・洗面所・全室クロス張替え、床(フローリング等)・外壁・バルコニー防水塗装
設備 東京電力・公営上水道・プロパンガス・浄化槽・側溝・庭
各戸設備 浴室乾燥機・オートバス(1坪以上)・追焚機能・シャワー付洗面化粧台・温水洗浄便座・トイレ2ヶ所・浴室に窓有・システムカウンターキッチン・食器洗い乾燥機・浄水器・3口コンロ・グリル・全居室収納・ウォークインクローゼット・クローゼット・床下収納・モニター付インターホン・ディンプルキー・ダブルロックドア・シャッター雨戸・複層ガラス・24時間換気システム
備考 *建築確認完了検査済証有・新築時、増改築時の設計図書有

*「-」と表示されている項目については、お問い合せご確認下さい。
*上記表示物件は、掲載中に契約済、契約中止、あるいは価格変更となる場合があります。
*詳細は弊社までお問い合わせ下さい。掲載情報と現況が異なる場合は現況が優先となります。
*取引態様の欄に「媒介(仲介)」と表示された物件は「仲介物件」ですので、販売価格の他に仲介手数料が必要となります。

*「-」と表示されている項目については、お問い合せご確認下さい。
*上記表示物件は、掲載中に契約済、契約中止、あるいは価格変更となる場合があります。
*詳細は弊社までお問い合わせ下さい。掲載情報と現況が異なる場合は現況が優先となります。
*取引態様の欄に「媒介(仲介)」と表示された物件は「仲介物件」ですので、販売価格の他に仲介手数料が必要となります。

アクセスマップ

カーナビ住所:三島市佐野見晴台2-32-13付近

JR東海道本線「三島」駅

JR東海道本線「三島」駅

7.2km/車16分

三島市立伊豆佐野保育園

三島市立伊豆佐野保育園

3.6lkm/車6分

ピーターパン幼稚園

ピーターパン幼稚園

4.7lkm/車9分

三島市立佐野小学校

三島市立佐野小学校

4.0km/車7分

三島市立北上中学校

三島市立北上中学校

3.5km/車6分

セブンイレブン三島北上店

セブンイレブン

5.1km/車10分

クリエイト三島萩店

クリエイト

4.6klm/車9分

スルガ銀行ATM

スルガ銀行

4.6km/車9分